実際に治療をした患者さんの例を目に見える形で表現したいと思いますが、我々には患者さんのプライバシーを保護する義務がありますので、Web許可を得た方のみになりますことをご理解ください。

体のゆがみについて

正常異常

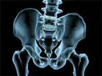
骨盤のイメージ画像ですが、左が正常な状態で、右が異常状態になります。
実際に来院される患者さんではこのぐらいのゆがみはかわいい方です。

正常異常

X軸とY軸に実線を引いてみるとバランスの悪さがよくわかりますね。ゆがんだ腰部では重心点がどちらかにずれてしまいます。人間は二本足で直立する動物ですから、縦長の構造物のてっぺんに重たい頭を乗せてバランスを取っている事になります。左画像のように左右均等にドッシリと構えられれば上からの圧力を分散する事ができますが、右画像のように重心がずれてしまうと均等な圧力がかからなくなり、どこかしらに負担がかかることになります。

正常異常

骨盤の部分を4つのブロックに色分けしてみました。
人間は重心点がずれた時にどういった反応をするかですが、対角線上にバランスを取ろうとします。部分的に見ればこの画像上では矢印の部分ですね。もっと大きな目で見れば、<右の腰←→左の肩>、<左の腰←→右の肩>ということになります。
同じ方向だけに重心が片寄ってしまったら立っていられずに転んでしまいます。


左右均等のはずの筋肉が、均等でなくなったらどうなるか。絶えずどこかの筋肉が緊張しつづけ痛みに変化してしまうことでしょう。肩が凝る・背中が痛いという症状の原因はバランスの問題かもしれません。

緊張と弛緩

重心点がずれると必ず緊張弛緩という現象がおきます。「引きつれ」と「ゆるみ」とでも表現しましょうか。子供の頃に学校で「気を付け!」、「休め!」と先生からかけ声を掛けられたことがあるはずです。「休め!」の時には片足の緊張を緩めて、もう片足に重心をかけます。この状態が「引きつれ」と「ゆるみ」です。学校での「気を付け」、「休め」は重心をかけている足が疲れたら反対の足にチェンジすればいいんですが、重心点のずれた人は強制的に持続的に片足にだけ重心を掛け続けるのですから、いずれ「膝痛」などが起きやすくなるわけですね。
この緊張弛緩を改善することにハリ治療はおおいに活躍してくれます。

information

  • 体のゆがみについて
  • 緊張と弛緩
  • バランスの悪い典型例
  • こんな方は要注意
  • 腰痛の高校球児
  • 女性だったら
  • 腰痛・坐骨神経痛
  • 鍼灸という選択肢

バランスの悪い典型例

治療前治療後

こんな感じで足の長さが違っている方が多くいます。みなさん腰のバランスの悪い方です。
治療後にはバランスが取れて、右画像のようになります。

こんな方は要注意

片方の足にだけマメの出来る方、写真を撮った時に肩の高さが違う方、ブラジャーの紐が片方だけずり落ちてしまう方、首のシワが片方だけ深くなっている方、こんな方はバランスが悪くなっているはずですので気を付けましょう。

腰痛の高校球児

腰痛でまともな練習が出来なかった高校球児です。来院当初は元気のなかった彼ですが、腰痛が治ってからは「野球が楽しくてしょうがない!」と生き生きしていました。

治療前治療後

治療前治療後

【左】 ウェストライン、おしりの形、おしりの溝などを注目してもらうと違いがわかります。左の画像では重心点がずれてウエストラインがハッキリしていません。また、おしりの形が垂れ下がったようになってます。
【右】 それに比べ、右の画像はウェストラインがハッキリとしており、おしりも丸みを帯びて非常に形がよくなりました。いかにもアスリートといった腰回りです。
注)腰の黒い点は、腰のバランスを見るために付けた印です。

女性だったら

この画像から想像していただくしかありませんが、もし女性だったらどうでしょうか?左の画像に比べて右の画像はウェストのキュッとくびれた素晴らしいプロポーションに見えます。また、腰のバランスが悪くなると足への負担も大きくなる訳ですからO脚などにもなりやすくなります。バランスを調整することで美容にも効果があるといえます。

腰が曲がったまま伸びない坐骨神経痛

腰が曲がってしまい入院加療するも効果がなく、手術を勧められたがハリ治療にて効果を得られた例です。
注)側彎症や疼痛性側彎ではありません。

治療前治療前治療後

【左】初診時まっすぐに立とうとしてもまっすぐには立てません。【中】まっすぐに寝ようとしてもまっすぐに寝ることができません。【右】時間がかかりましたが、ほぼ正常な形になりました。

 

体がくの字に曲がってからほぼ1年後に紹介で来院した患者さんです。1年間もこの曲がった状態が続いたのですから相当につらかったと思います。専門医からは手術以外にないとの診断でしたが、どうしても手術には抵抗があるとのことでハリ治療をすることになりました。

治療前治療後

まっすぐに寝た状態で片足を挙上するテストです。下肢伸展挙上テストといいます。正常な方ですと60度ぐらいまでスムーズに挙がりますが、腰の付け根(脊髄部分)に圧迫があると挙上時に下肢に痛みが走ります。椎間板ヘルニアなどではこの症状が現れます。
【左】この角度にて激痛が走っていました。 【右】余裕でここまで挙がるようになりました。
腰のバランスが良くなり、脊髄にかかる圧力がなくなった証明です。

鍼灸治療という選択肢

西洋医学では椎間板ヘルニアなどで強い痛みが出ると直ぐに手術をする傾向があるように感じます。ある方は激しい腰痛と下肢のシビレで二度手術をしましたが再発してしまい、手術に抵抗を感じハリ治療をしました。「ハリ治療でも治るんですね」と、喜んでおられました。 手術をする前にハリ治療を試みるのも一つの選択肢といえます。

ページトップへ戻る